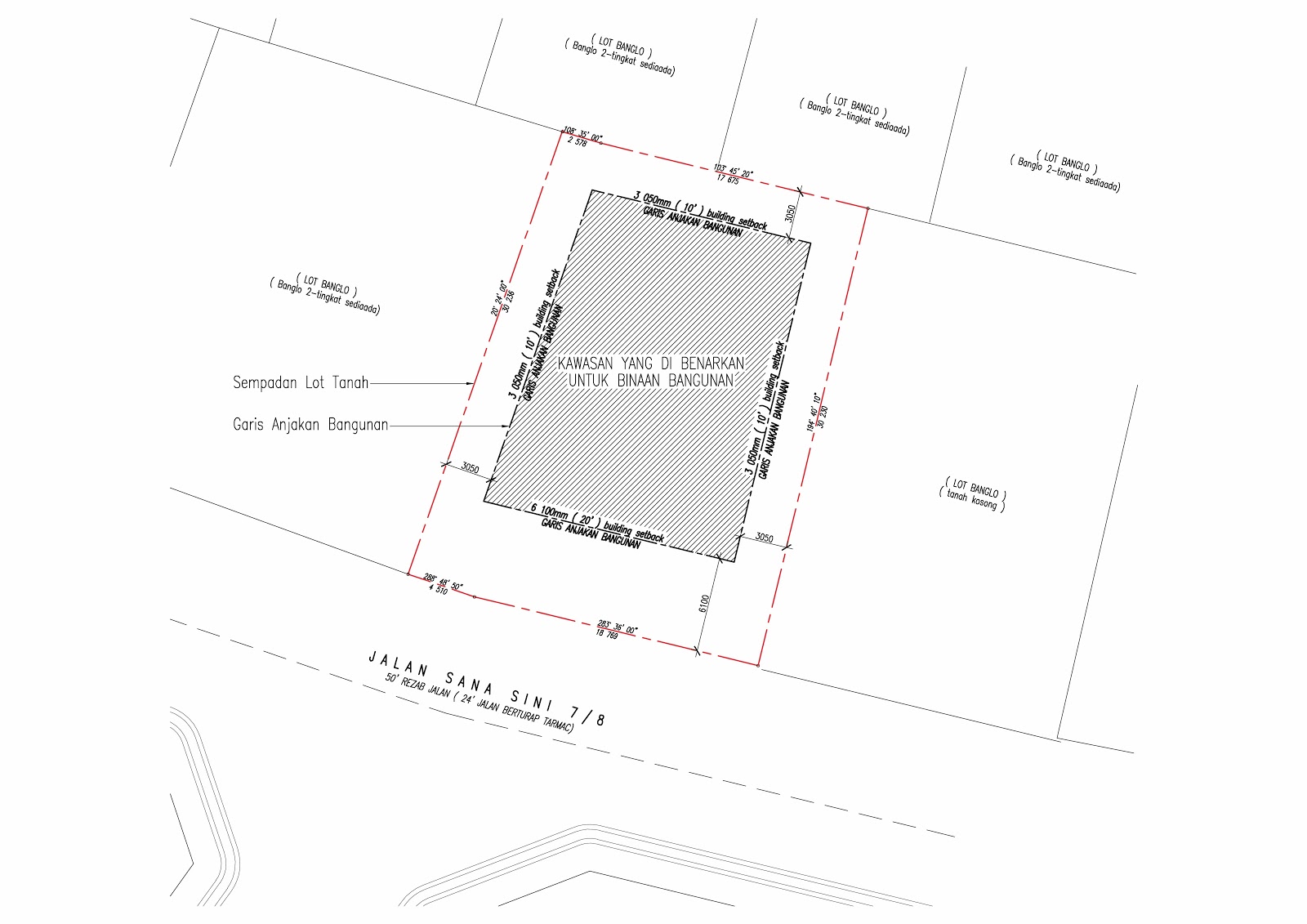
Building Setback Requirements Malaysia : Building Setback from Boundary - Besides that, minimum setback for side lane is 20 feet (6.096m) and width of proposed road is 50 feet (15.242m).

Building Setback Requirements Malaysia : Building Setback from Boundary - Besides that, minimum setback for side lane is 20 feet (6.096m) and width of proposed road is 50 feet (15.242m).. All new construction shall comply with the current height, setback, and area schedule in effect at the time the building permit was filed, excluding alternative setback, height, and/or area schedule requirements as approved through a planned unit development. 4 where the landed housing plot abuts a good class bungalow area, a 3m rear and side setback from the gcba boundary will be applicable Structure) shall be located on a lot so as to conform to the setback requirements established for the zone in which the lot is located, These setbacks vary with the use of the building and the zoning district. At least 0 75m away from boundary.

Column a shows the front setback as 20 ft. Requirement for plots upto 50 sq m. Malaysia building code specify minimum 10 feet / 3.05 meters setback from side and rear property line, and 20 feet / 6.10 meters from street, also 10 feet / 3.05 meters of carport roof. (2) no building, sign, or part thereof, except those complying with the above. The setback distance is measured from the road reserve 1 line or boundary line to the external wall of the buildings, excluding land to be vested to the state for road and/or drainage.

AO - PANDUAN RUANG RUMAH: Apa tu ......Garis Anjakan ...
AO - PANDUAN RUANG RUMAH: Apa tu ......Garis Anjakan ... from 4.bp.blogspot.com
Column b shows that open projections, like a roof or stairs, can enter the min yard setback area by 6 ft. Properties located in the environmentally sensitive lands overlay areas are required to dedicate a percentage of land as natural area open space (naos); Building setback requirements malaysia building regulations malaysia s building regulations are based on the street drainage and building act 1974 act 133 and its subsidiary the uniform building by laws 1984 ubbl 1984. (2) no building, sign, or part thereof, except those complying with the above. The town and country planning act 1976 (act 172) of malaysia defines property development as the carrying out of any building, engineering, mining, industrial or other similar operations in on, over or under land, or the making of any material changein the use of any buildings or other land, or the subdivision or amalgamation oflands. (e) if a condemnation by a governmental agency reduces the building line setback of a structure below 25 feet, but there remains at least ten feet setback, and the setback reduced by the condemnation met the requirements of this section prior to the condemnation, the resulting setback shall be the setback requirements for the lot. 2 applicable to sites fronting category 3 to 5 road. Column a shows the front setback as 20 ft.

This is to make the space more inviting and give a sense of ease.

For sites fronting a category 2 road, the front setback would be according to the buffer requirements. Minimum setback is 20 feet (6.096m) for boundaries at front road and minimum setback for back lane is 10 feet (3.048m). The acton zoning bylaw requires minimum setbacks, or front, side and rear yards, for all buildings and structures to streets and property lines. Column b shows that open projections, like a roof or stairs, can enter the min yard setback area by 6 ft. These setbacks vary with the use of the building and the zoning district. All new construction shall comply with the current height, setback, and area schedule in effect at the time the building permit was filed, excluding alternative setback, height, and/or area schedule requirements as approved through a planned unit development. This is to make the space more inviting and give a sense of ease. Besides that, minimum setback for side lane is 20 feet (6.096m) and width of proposed road is 50 feet (15.242m). Side yard and rear yard setbacks may vary with the zoning district. (b) bay windows and chimneys, not to exceed two feet. 3 applicable to sites fronting category 3 to 5 road. No other setback requirements are violated. Requirement for plots upto 50 sq m.

The setback distance is measured from the road reserve 1 line or boundary line to the external wall of the buildings, excluding land to be vested to the state for road and/or drainage. Setback requirements all buildings in commercial developments shall be sufficiently set back from the road and common boundary. And the sides 10 ft. The following table and text provides regulations for height, area, setback and bulk requirements: (2) no building, sign, or part thereof, except those complying with the above.

setback for terrace houses in malaysia - Google Search ...
setback for terrace houses in malaysia - Google Search ... from i.pinimg.com
The table below intends to provide guidance on various structures, and portions of buildings or structures, that often come into question as to whether or not the setback requirements apply. (2) no building, sign, or part thereof, except those complying with the above. (e) if a condemnation by a governmental agency reduces the building line setback of a structure below 25 feet, but there remains at least ten feet setback, and the setback reduced by the condemnation met the requirements of this section prior to the condemnation, the resulting setback shall be the setback requirements for the lot. On property lines adjoining residentially designated property; Column a shows the front setback as 20 ft. Building regulations malaysia's building regulations are based on the street, drainage and building act 1974 (act 133) and its subsidiary, the uniform building by laws 1984 (ubbl 1984). Besides that, minimum setback for side lane is 20 feet (6.096m) and width of proposed road is 50 feet (15.242m). (b) bay windows and chimneys, not to exceed two feet.

The setbacks listed in the document relate to the

Requirement for plots above 50 sq m. At least 0 75m away from boundary. Basically, a layout plan that has been submitted must comply with the national and physical plan, the state structure plan, the local plan, a special area plan and all plans approved by the local authorities of the governing state. The table below intends to provide guidance on various structures, and portions of buildings or structures, that often come into question as to whether or not the setback requirements apply. 2 applicable to sites fronting category 3 to 5 road. (figure 2.5).jalan sljsur 50 kaki (154242 nun) For sites fronting a category 2 road, the front setback would be according to the buffer requirements. And the sides 10 ft. Properties located in the environmentally sensitive lands overlay areas are required to dedicate a percentage of land as natural area open space (naos); To determine the requirements applicable to a specific property, submit a setback request. The setbacks listed in the document relate to the Minimum distance from property lines and building setback requirements for all buildings include the following: Side yard and rear yard setbacks may vary with the zoning district.

Property setbacks help ensure we get better sound insulation by building away from busy intersections and other noisy environments. The acton zoning bylaw requires minimum setbacks, or front, side and rear yards, for all buildings and structures to streets and property lines. Requirement for plots upto 50 sq m. 3 applicable to sites fronting category 3 to 5 road. 2 applicable to sites fronting category 3 to 5 road.

Property Setbacks & Your House Plan - Archival Designs
Property Setbacks & Your House Plan - Archival Designs from cdn.shopify.com
The minimum parcels sizes or building setback requirements specified in this title. Malaysia building code specify minimum 10 feet 3 05 meters setback from side and rear property line and 20 feet 6 10 meters from street also 10 feet 3 05 meters of carport roof. Minimum distance from property lines and building setback requirements for all buildings include the following: For the front and a maximum of 5 ft. Requirement for plots above 50 sq m. Properties located in the environmentally sensitive lands overlay areas are required to dedicate a percentage of land as natural area open space (naos); At least 0 75m away from boundary. The minimum parcel size and building setbacks shall conform to those state standards, applicable to mobilehome parks, pursuant to which the mobilehome park was constructed.

(e) if a condemnation by a governmental agency reduces the building line setback of a structure below 25 feet, but there remains at least ten feet setback, and the setback reduced by the condemnation met the requirements of this section prior to the condemnation, the resulting setback shall be the setback requirements for the lot.

2 applicable to sites fronting category 3 to 5 road. Building setback requirements malaysia building regulations malaysia s building regulations are based on the street drainage and building act 1974 act 133 and its subsidiary the uniform building by laws 1984 ubbl 1984. For the front and a maximum of 5 ft. And the sides 10 ft. Building regulations malaysia's building regulations are based on the street, drainage and building act 1974 (act 133) and its subsidiary, the uniform building by laws 1984 (ubbl 1984). The setbacks listed in the document relate to the Malaysia building code specify minimum 10 feet 3 05 meters setback from side and rear property line and 20 feet 6 10 meters from street also 10 feet 3 05 meters of carport roof. The acton zoning bylaw requires minimum setbacks, or front, side and rear yards, for all buildings and structures to streets and property lines. Setbacks the term setback refers to zoning regulations regarding the location of a building on the lot or parcel of land. Properties located in the environmentally sensitive lands overlay areas are required to dedicate a percentage of land as natural area open space (naos); On property lines adjoining residentially designated property; The setback distance is measured from the road reserve 1 line or boundary line to the external wall of the buildings, excluding land to be vested to the state for road and/or drainage. 1 for attached single family units, the minimum side yard setback on the external wall is ten feet to living area.

Related : Building Setback Requirements Malaysia : Building Setback from Boundary - Besides that, minimum setback for side lane is 20 feet (6.096m) and width of proposed road is 50 feet (15.242m)..